Especial para o Portal PANROTAS Marcos Martins   |   19/09/2017 10:37

Furacão Maria sobe para categoria 5 e atinge Dominica

O primeiro-ministro Roosevelt Skeritt lamentou a catástrofe em publicação no Facebook

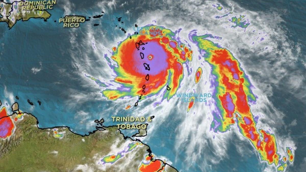
O furacão Maria atingiu a região de Dominica, no Caribe, com ventos catastróficos e fortes chuvas, deixando uma "devastação generalizada", de acordo com publicação da revista Time. De categoria 5, a mais alta da escala Saffir-Simpson, o fenômeno chegou ontem (18) à Dominica e ameaça outras ilhas que já foram afetadas pelo Irma. Antes da manhã desta terça-feira (19), o furacão havia caído para a categoria 4, mas ganhou força novamente, em poucas horas.

Um dos oficiais de polícia na ilha, Pellam Jno Baptiste disse à publicação que não houve relatos imediatos de vítimas, mas que era muito perigoso para os oficiais fazer uma avaliação completa. "Onde estamos, não podemos nos mover", disse ele em uma breve entrevista por telefone.

O primeiro-ministro da Dominica, Roosevelt Skeritt, que perdeu parte do telhado da residência oficial, disse em sua página do Facebook que o "maior medo" era que moradores da ilha sofressem "ferimentos graves e possíveis mortes". Segundo a autoridade, o foco inicial é resgatar pessoas presas e garantir assistência médica para os feridos. "Até agora perdemos tudo que o dinheiro pode comprar e substituir", lamentou na rede social.

Avisos de furacão foram emitidos também para os Estados Unidos e Ilhas Virgens Britânicas, Porto Rico, Guadalupe, St. Kitts, Nevis e Montserrat. Já um aviso de tempestade tropical foi enviado para Martinica, Antígua e Barbuda, Saba, St. Eustatius, St. Maarten, St. Lucia e Anguilla.


*Fonte: Time

conteúdo original: http://ti.me/2fhNZYC

Quer receber notícias como essa, além das mais lidas da semana e a Revista PANROTAS gratuitamente?
Entre em nosso grupo de WhatsApp.

Tópicos relacionados

Avatar padrão PANROTAS Quadrado azul com silhueta de pessoa em branco ao centro, para uso como imagem de perfil temporária.

Conteúdos por

Marcos Martins

Marcos Martins tem 2911 conteúdos publicados no Portal PANROTAS. Confira!

Sobre o autor

Colaboração para o Portal PANROTAS